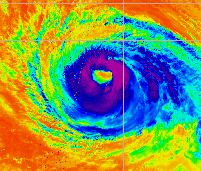
Image of a Hurricane

Science 010

Science of the Atmosphere

Simon Fraser University, Fall 1995



Composite Image of Hurricane Fernanda, 1993
Source:
University of Hawaii's Satellite Oceanography Laboratory


This is an interdisciplinary science course which is being team taught by the following faculty members.

Barbara Fisken, Physics
Luis Goddyn, Mathematics and Statistics
Derek Sutton, Chemistry
Ron Ydenberg, Biological Sciences

The class meets from 1:30 - 3:20 each Tuesday, in AQ 3154. There will also be a number of field trips and social events as described below.


Ballooners See field trips notices for details and updates. (Updated Nov 2.)
  • Deadlines Each of the following should have been done by October 10. If you have not yet done one of these, DO IT NOW.

    Communication

    All students are expected to claim their ACS computer accounts at Computing Services Operations as soon as possible in AD1066 between 9:30 am and 3:30 pm.

    Contrary to what we said in first lecture, a mailing list will not be used for this class. Instead, we have a bulletin board news group.

    sfu.class.sci.sci010

    Be sure to subscribe to this news group by pressing the appropriate button in that page, or by just clicking here.

    There are some other sfu newsgroups you might like to subscribe to. Also, here is a list of all available new groups. Be careful not to wast too much time on bulletin board surfing!

    You may also read news via a terminal-based program such as tin or nn or from your fraser account.


    Class Schedule

    Each week has its own topic of discussion. Here are the details.

    Grading

    Your final grade will be based on the following items. Click them for details.
    1. 40% Written Paper
    2. 30% Poster Session Contribution
    3. 30% Assignments

    Reference Articles

    The course material consists of a sequence of articles taken from science magazines. I have also collected a few library call numbers for library materials that I have stumbled across.

    Field Trips

    There will be a number of field trips and other events. Here are the details.

    Important Dates


    Some Interesting Internet Sites


    Interesting Bit of Trivia

    CHEMISTRY PRIZE IS AWARDED FOR WORK IN ATMOSPHERIC CHEMISTRY. Paul Crutzen, Mario Molina, and Sherwood Rowland shared the 1995 Nobel Prize in Chemistry for their pioneering work in atmospheric chemistry, particularly concerning formation and decomposition of the ozone layer. In the words of the Swedish Academy: "...the three researchers have contributed to our salvation from a global environmental problem that could have catastrophic consequences."
    From: WHAT'S NEW, Robert L. Park, Friday Oct. 13, Washington DC

    Back to Sci 010 home page.


    .../sci010.html
    Modified: 1/09/1995 by goddyn@sfu.ca (Luis Goddyn)